Rovno na obsah Rovno na menu
Menu
Obec Čechynce
Čechynce

Už aj v našej obci máme verejne dostupný automatický externý defibrilátor (AED)
Községünkben már van a lakosság számára elérhető automata külső defibrillátor (AED)

Informácia o podanej žiadosti firmy S com s.r.o. Bratislava

Informácia o podanej žiadosti firmy S com s.r.o. Bratislava

výzva-felhívás

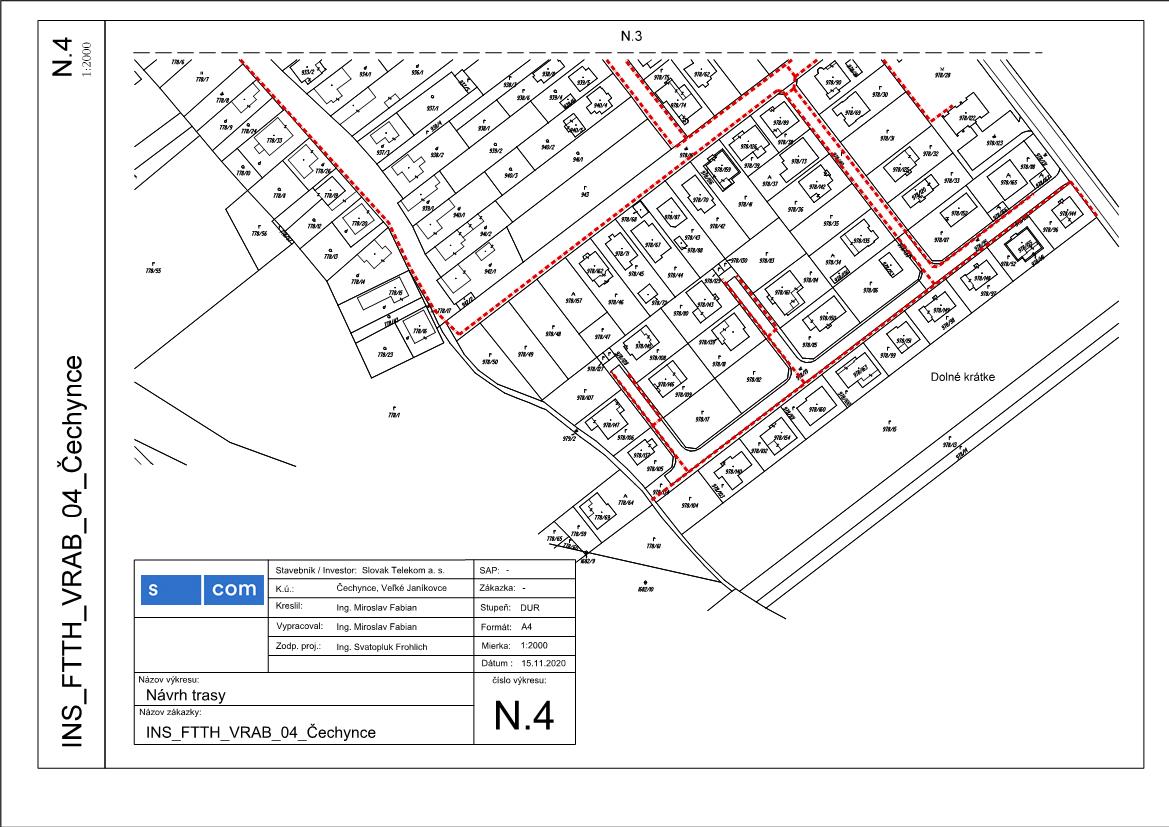
Informácia o podanej žiadosti firmy S com s.r.o. Bratislava o vyjadrenie sa k vydaniu stanoviska pre účely územného konanie k návrhu trás pre stavbu-INS FTTH VRAB 04 Čechynce.
Vyzývame občanov obce aby svoje pripomienky zaslali na OcÚ Čechynce písomnou formou do 20.12.2020. Viac info u p.Vetrákovej na t.č.0910164769.
Dátum vloženia: 3. 12. 2020 10:45
Autor: Správca Webu

Udalosti

Propagačné video obce

Mobilná aplikácia

Sledujte informácie z nášho webu v mobilnej aplikácii - V OBRAZE.

Kalendár

Marec2026
Po Ut St Št Pia So Ne
23 24 25 26 27 28 1
2 3 4 5 6 7 8
9 10 11 12 13 14 15
16 17 18 19 20 21 22
23 24 25 26 27 28 29
30 31 1 2 3 4 5

Fotogaléria

Náhodná fotogaléria